近日,广东紫金白溪省级自然保护区
发布了2024年度昆虫调查数据
截至2024年底
该自然保护区共记录
昆虫20目206科1414种
其中发表新物种一个
白溪鳞蚁甲
Apharinodes baixiensis sp. nov.
(隐翅虫科)
是世界上首次科学描述
白溪鳞蚁甲的发表
是广东紫金白溪省级自然保护区
昆虫调查的标志性成果之一
拓展了人们对这类甲虫的
形态和分布的认知
表明了该自然保护区的昆虫
还有很大的研究潜力
有待更好地深入调查研究
一、白溪省级自然保护区昆虫资源概况
//
截至2024年底
白溪省级自然保护区共记录
昆虫20目206科1414种
其中
蜉蝣目4科7种,蜻蜓目8科20种
缨翅目1科1种,襀翅目2科2种
蜚蠊目3科5种,螳螂目3科5种
䗛目2科2种,直翅目9科24种
革翅目2科3种,啮虫目3科4种
半翅目27科85种,脉翅目2科7种
广翅目1科4种,蛇蛉目1科1种
鞘翅目57科368种,双翅目10科16种
长翅目1科1种,毛翅目14科53种
鳞翅目46科774种,膜翅目10科31种
发表新物种一个:白溪鳞蚁甲 Apharinodes baixiensis sp. nov.(隐翅虫科)
白溪鳞蚁甲
发现广东新纪录种一个:海南盲蛇蛉Sininocellia hainanense(盲蛇蛉科)
发现新物种或新阶元(含疑似)8个:
1.盲蝽科新属 Miridae gena.nov.
2.隐翅虫科,美苔甲属新种Horaeomorphus sp.nov.
3.隐翅虫科,突角蚁甲属新种Cratna sp. nov.
4.泥甲科,Elmomorphus属新种Elmomorphus sp.nov.
5.瓢虫科,尼艳瓢虫属新种Nesolotis sp. nov.
6.幽甲科,Glyphocryptus属新种Glyphocryptus sp. nov.
7.象甲科,二节象属新种Aclees sp.nov.
8.夜蛾科,飘夜蛾属新种Clethrorasa baixiensis sp.nov.
二、昆虫构成分析
//
1.蜉蝣目Ephemeroptera(白溪记录种数/广东省记录种数=11%)
蜉蝣目在保护区内记录到4科7种,均仅鉴定至属。中国已知蜉蝣目至少250种,广东省已记录蜉蝣目62种。
宽基蜉属 Choroterpes(蜉蝣目)
2.蜻蜓目Odonata(白溪记录种数/广东省记录种数=12%)
蜻蜓目在白溪记录到8科20种,除赤蜻属Sympetrum 1种外均鉴定至种。蜻蜓目多数与水系支流关系紧密,是一类典型的捕食性昆虫。广东省约有162种蜻蜓,根据这一数据,白溪仍有许多未被记录的蜻蜓种类,可作为未来的重点调查对象。
黃狹扇蟌Copera marginipes(蜻蜓目)
3.缨翅目Thysanoptera(白溪记录种数/广东省记录种数=0.4%)
缨翅目在保护区内记录到1科1种,仅鉴定至科。缨翅目昆虫以植物为食,大部分种类是寡食性的,与寄主植物存在显著的对应关系。广东省已记录缨翅目昆虫237种,白溪缨翅目的种类应该存在很大的上升空间。
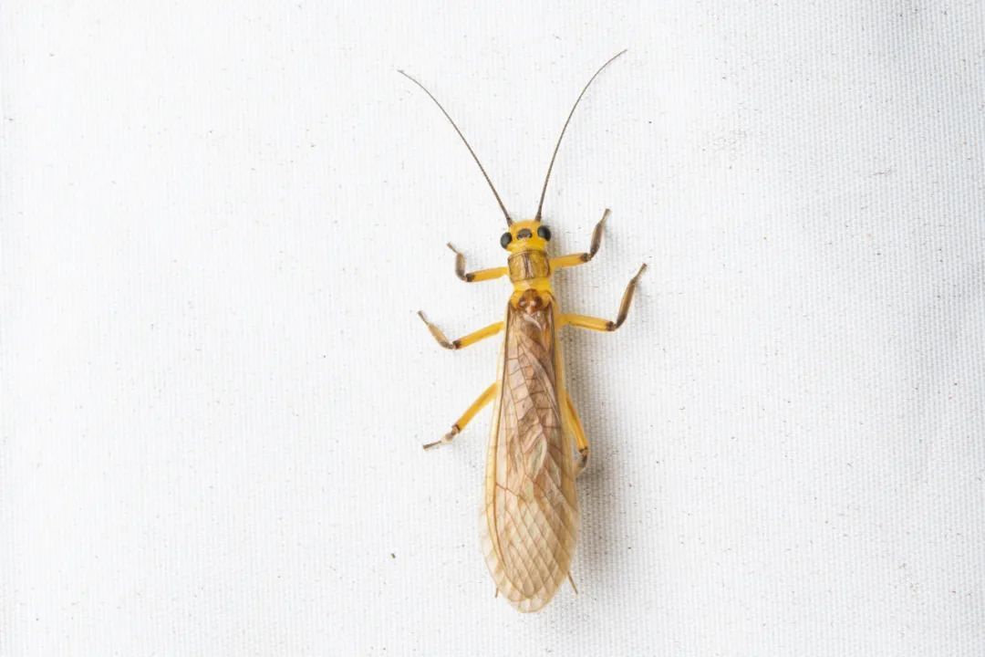
4.襀翅目Plecoptera(白溪记录种数/广东省记录种数=5%)
襀翅目在保护区内记录到2科2种,仅鉴定至科。襀翅目昆虫幼虫水生,成虫飞行能力不强,一般不能远离水源长距离飞行,常栖息于水系边的草丛草丛中。广东省已记录襀翅目昆虫41种。
襀科(襀翅目)
5.蜚蠊目Blattodea(白溪记录种数/广东省记录种数=9%)
蜚蠊目在保护区内记录到3科5种。蜚蠊目是典型的陆栖性昆虫,大部分种类避光,有寄生于膜翅目巢穴的种类,是生态系统中重要的分解者。广东省已记录蜚蠊目昆虫56种。
黑带大光蠊 Rhabdoblatta nigrovittata
(蜚蠊目)
6.螳螂目Mantodea(白溪记录种数/广东省记录种数=17%)
螳螂目在保护区内记录到3科5种。螳螂目是典型的陆栖性昆虫,绝大部分种类营捕食性为生。广东省已记录螳螂目昆虫30种。
齿华螳 Sinomantis denticulata (螳螂目)
7.䗛目Phasmida(白溪记录种数/广东省记录种数=4%)
䗛目在保护区内记录到2科2种,均鉴定至种。䗛目亦称竹节虫目,大部分种类具有很好的隐态,多数植食性。广东省已记录䗛目昆虫54种。
广西瘤竹节虫 Orestes guangxiensis
8.直翅目Orthoptera(白溪记录种数/广东省记录种数=6%)
直翅目在保护区内记录到9科24种,基本鉴定至种。直翅目包含蝗虫、螽斯、蟋蟀、纺织娘等常见的地面昆虫,少数种类生活在书上。广东省已记录直翅目昆虫373种,因目前缺乏直翅目的研究者,白溪直翅目的种类仍有较大的上升空间。
短角外斑腿蝗 Xenocatantops brachycerus
(直翅目)
9.革翅目Dermaptera(白溪记录种数/广东省记录种数=19%)
革翅目在保护区内记录到2科3种,均鉴定至属。革翅目多为腐食性昆虫,生活在枯枝落叶内。广东省已记录革翅目昆虫16种。
慈螋 Eparchus insignis (革翅目)
10.啮虫目Psocodea(白溪记录种数/广东省记录种数=3%)
啮虫目在保护区内记录到3科4种,大部分鉴定至属,一般见于树干、树皮、墙根、鸟巢等处,在苔藓类阴湿地区繁殖甚多,亦与菌物关系紧密。广东省已记录啮虫目昆虫132种。
触啮 Psococerastis sp. (啮虫目)
11.半翅目Hemiptera(白溪记录种数/广东省记录种数=6%)
半翅目在保护区内记录到27科85种,大部分鉴定至种。半翅目包含常见的蝽、蝉等昆虫,习性多样。广东省已记录半翅目昆虫1499种,根据这一数据,白溪仍有许多未被记录的半翅目种类,可作为未来的重点调查对象。
短刺鹿角蝉 Elaphiceps brachyspinus (半翅目)
12.脉翅目Neuroptera(白溪记录种数/广东省记录种数=16%)
脉翅目在保护区内记录到2科7种,大部分鉴定至种。脉翅目幼虫多捕食性,被称为“蚜狮”“蚁狮”等,成虫飞行能力强,多为夜行性。广东省已记录脉翅目昆虫44种。
普通齿蛉 Neoneuromus ignobilis(脉翅目)
13.广翅目Megaloptera(白溪记录种数/广东省记录种数=13%)
广翅目在保护区内记录到1科4种,均鉴定至种。广翅目幼虫水生,捕食性强,常有捕食鱼的案例,故又被称为鱼蛉。广东省已记录31种。
14.蛇蛉目Raphidioptera(白溪记录种数/广东省记录种数=100%)
蛇蛉目在保护区内记录到1科1种,鉴定至种。蛇蛉目是一类较为罕见的昆虫,成虫访花。目前广东省仅记录1种,但和保护区内分布的不是同种。根据目前的鉴定,白溪保护区内分布的是一广东新纪录种,即海南盲蛇蛉。
海南盲蛇蛉 Inocellia hainanica(蛇蛉目)
15.鞘翅目Coleoptera(白溪记录种数/广东省记录种数=14%)
鞘翅目在保护区内记录到57科368种,绝大多数鉴定至种。鞘翅目分布广泛,习性多样,是世界上生物的第一大目。广东省记录2701种,根据这一数据,白溪仍有许多未被记录的鞘翅目种类,可作为未来的重点调查对象。
库奥锹甲 Odontolabis cuvera(鞘翅目)
16.双翅目Diptera(白溪记录种数/广东省记录种数=1%)
双翅目在保护区内记录到10科16种,多数鉴定至属。双翅目以蚊、蝇、虻等为主要类群,活动能力强,其中一些种类是重要的病媒昆虫。广东省已记录双翅目昆虫1445种,白溪双翅目的种类仍有巨大的上升空间。
微芒食虫虻 Microstylum dux(双翅目)
17.长翅目Mecoptera(白溪记录种数/广东省记录种数=6%)
长翅目在保护区内记录到1科1种,鉴定至属。长翅目成虫常活动在森林边的渗水地带,发生期短,较为少见。广东省记录16种。
新蠍蛉屬 Neopanorpa(长翅目)
18.毛翅目Trichoptera(白溪记录种数/广东省记录种数=46%)
毛翅目在保护区内记录到14科53种,多数鉴定至种。毛翅目昆虫又称石蛾,其幼虫水生,成虫飞行能力不强。广东省记录116种,白溪记录种类达到广东省的一半(这也和广东省毛翅目缺乏调查相关),很可能有更大潜力。另外。许多白溪的毛翅目很可能是未描述的新种,但严重缺乏标本。未来,毛翅目应该作为重点调查与监测对象。
异距枝石蛾属Anisocentropus(毛翅目)
19.鳞翅目Lepidoptera(白溪记录种数/广东省记录种数=22%)
鳞翅目在保护区内记录到46科774种,绝大多数鉴定至种。鳞翅目包含蝶与蛾,活动能力很强,分布较其他昆虫更为广泛。广东省已记录鳞翅目昆虫3565种,白溪记录种数达广东省总种数的22%。根据这一数据,白溪未被记录的鳞翅目数量已较少,主要集中在蝴蝶。
白带黛眼蝶 Lethe confusa(鳞翅目)
20.膜翅目Hymenoptera(白溪记录种数/广东省记录种数=2%)
膜翅目在保护区内记录到10科31种。膜翅目包含各种蜂及蚁,多为捕食性昆虫。广东省已记录膜翅目昆虫1279种,白溪膜翅目的种类仍有巨大的上升空间。可作为未来重点工作类群之一。
炫长腹土蜂 Phalerimeris phalerata(膜翅目)
来源/河源生态环境、河源广播电视台
整理/广东生态环境微信编辑小组
订阅后可查看全文(剩余80%)



















